< Previous page ^ Table of Contents Next page >

REPORTS

Report of the Council on the construction of new cancer research laboratories at the Addenbrooke's Hospital Site

The COUNCIL beg leave to report to the University as follows:

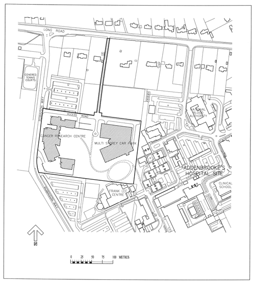
1. In their Report, dated 24 September 2001, on the sale of land at Laundry Farm (Reporter, p. 20), the Council reported to the University that they had agreed to purchase Downing College's playing fields at Long Road in order, inter alia, to facilitate the construction of a new cancer research building. Negotiations were also under way with Addenbrooke's NHS Trust for the purchase of the remainder of the site referred to in that Report. It is proposed to construct a new laboratory research facility of 14,000 sq.m. gross area on the site as shown on the accompanying plan.

2. Terms have now been agreed with Addenbrooke's NHS Trust for the purchase of the additional land fronting Robinson Way, associated access rights to the Downing College land, the re-provision of the displaced car parking, and an option for the Trust to purchase land to enable it to provide key worker housing. Under this agreement the University will purchase the freehold of the Trust's land and the access rights for £5.025m and the Trust will have an option to purchase part the Downing College land at a figure based on the pro-rata purchase price paid to Downing College by the University. Displaced car parking spaces will be accommodated in a new multi-storey car park (see below) and the Trust will be required to purchase the majority of the re-provided car parking spaces at full cost. These terms are to be reported to Addenbrooke's Trustees for approval on 22 July 2002. Funding for the land transactions will be drawn from the Land Fund, augmented by a donation from Hutchison Whampoa, which will also be making a major contribution towards the cost of the research facility.

3. The research facility will comprise a four-storey main laboratory block together with a two-storey area for support services. The building will include a partial basement and plant space at roof level. The building will provide accommodation to house up to thirty research groups together with all necessary support services. The accommodation also includes provision of a 300-seat auditorium and staff catering facilities.

4. The facilities are to be provided to house scientists from Cancer Research UK and the University under a proposed collaborative working arrangement. The majority of research carried out in the building will be funded by Cancer Research UK. It is anticipated that the likely annual cost of running the building will be in the region of £860,000 a year. Negotiations are continuing with Cancer Research UK about the way in which these costs will be funded, but it is anticipated that the major part of the costs will be paid by Cancer Research UK under the terms of their lease.

5. An agreement is under negotiation with Cancer Research UK for the lease and operation of the new facility. This will need to be substantially completed before the University enters into a contract for the construction of the building.

6. An outline planning approval has been granted for development of this area of the Addenbrooke's Site subject to a Section 106 Agreement for a green travel plan, contributions to the Southern Corridor Area Transport Plan (SCATP), and occupier restriction intended to ensure that the building will be used for research purposes only. The financial implications on all relevant parts of the S106 are included in the project budget.

7. The project budget is currently £40.4m (subject to increase to take account of any further contribution to the budget by Cancer Research UK); the budget is largely funded from contributions from Cancer Research UK and private donations to the School of Clinical Medicine. There is however still a shortfall in funding. Discussions are taking place about a possible allocation to this project of an amount of SRIF funding. Fundraising will continue and the project will not commence on site until full funding has been identified. The project is currently designed to RIBA stage D. Submission of a Reserved Matters application under the Outline Planning application has been made.

8. To allow the research facility to be built, it is necessary to provide for the construction of a multi-storey car park with 1,255 spaces. This will accommodate cars currently parking on the construction site, users of the new development, and upon full payment, additional spaces required by the NHS Trust. The cost of the car park is estimated to be £11m and will be funded mostly by the Trust and Cancer Research UK, with some of the money paid at the initial stage and some through a revenue stream over twenty-five years. The University will bear the cost of 129 spaces, required for its own staff, and will end up with a total financial commitment of £1.842m, which forms part of the overall project costs. In the short term, the University must underwrite or otherwise close a funding gap of £5.606m. This cost to the University will be paid from the Land Fund.

9. Drawings for the scheme are currently on display in the Schools Arcade.

10. The Council recommend:

I. That approval be given for construction of the new research facility and car park as proposed in this Report.

II. That the Treasurer be authorized to accept tenders for construction for the buildings and all associated works subject to costs remaining within the project budget and full funding being identified.

22 July 2002ALEC N. BROERS, Vice-ChancellorS. LEATON GRAYG. A. REID
 TONY BADGERIAN LESLIEJEREMY SANDERS
 JOHN BOYDPAUL LEWISM. SCHOFIELD
 PETER GODDARDA. M. LONSDALELIBA TAUB
 D. A. GOODJAMES MATHESONR. E. THORNTON
 GORDON JOHNSON 
Proposed new cancer research laboratories at the Addenbrookes site


< Previous page ^ Table of Contents Next page >

Cambridge University Reporter, 24 July 2002
Copyright © 2002 The Chancellor, Masters and Scholars of the University of Cambridge.